Track Hurricanes Live: Your Weather.com Guide

U.Ipq 106 views
Track Hurricanes Live: Your Weather.com Guide

Track Hurricanes Live: Your Weather.com Guide

Hey there, guys! When hurricane season rolls around, the air can get thick with anticipation and, let’s be honest, a little bit of anxiety. One of the best ways to calm those nerves and stay proactive is to track hurricanes live . Knowing what’s coming, when it’s coming, and where it’s headed can make all the difference for your safety and preparedness. That’s where Weather.com comes into play – it’s an incredibly powerful and user-friendly tool for getting real-time, accurate information right at your fingertips.

We’re not just talking about getting a general forecast here; we’re diving deep into the specifics of live hurricane tracking . Imagine being able to see the storm’s path, its intensity, and its potential impact on your area, all updated second by second. This isn’t just about watching a storm for curiosity’s sake; it’s about making informed decisions that can protect your home, your family, and your pets.

In this comprehensive guide, we’re going to walk you through everything you need to know about effectively using Weather.com to track hurricanes live . We’ll cover why it’s so crucial, how to navigate the site’s fantastic features, understand the tricky terminology, and ultimately, how to use this invaluable information to prepare for whatever Mother Nature throws our way. So, buckle up, because we’re about to become expert hurricane trackers together! Let’s get started on becoming fully informed and ready for anything.

Why Live Hurricane Tracking is Absolutely Essential for Your Safety

Alright, let’s talk real talk, guys. When it comes to hurricanes, live hurricane tracking isn’t just a convenience; it’s an absolute necessity for your safety and peace of mind . These aren’t your average thunderstorms that blow over in an hour. Hurricanes are massive, dynamic weather events that can change direction, intensify, or weaken with startling speed. Relying on outdated information or just hoping for the best is a recipe for disaster , plain and simple. Think about it: a storm path that looked like it was heading north might suddenly veer west, putting your town directly in its crosshairs. Without real-time updates , you could be caught completely off guard, making it impossible to take the necessary precautions. This is precisely why we stress the importance of using platforms like Weather.com for up-to-the-minute, live hurricane tracking .

The sheer destructive power of a hurricane, ranging from torrential rains and catastrophic flooding to devastating winds and dangerous storm surges, demands constant vigilance. Early warnings and continuous tracking give you that invaluable window of opportunity to implement your hurricane preparedness plan . We’re talking about crucial steps like securing loose outdoor items, boarding up windows, stocking your emergency kit, and, most importantly, deciding whether to evacuate. Imagine waiting until the last minute because you didn’t have the latest storm trajectory ; that’s a stressful and potentially dangerous situation no one wants to be in. Weather.com provides the granular detail needed, from projected rainfall totals to wind speed forecasts for specific areas, all presented in an easy-to-digest format. This information isn’t just data; it’s the foundation upon which you build your safety strategy.

Furthermore, live hurricane tracking allows you to understand the full scope of the threat . It’s not just about the eye of the storm. Hurricanes bring impacts hundreds of miles away from their center. Heavy rains can cause inland flooding long after the winds have died down, and storm surge can devastate coastal communities even before the strongest winds arrive. By constantly monitoring Weather.com’s interactive maps and forecast models , you can anticipate these broader impacts. You can assess whether your specific location is at risk for flooding, high winds, or power outages, allowing you to make smarter choices about everything from charging your devices to filling up your car with gas. This proactive approach, fueled by consistent and reliable live tracking , truly empowers you to protect your loved ones and minimize potential damage, turning anxiety into actionable steps. So, don’t underestimate the power of staying informed – it’s your best defense.

Okay, guys, now that we’ve hammered home why live hurricane tracking is so vital , let’s get down to the nitty-gritty: how to actually do it effectively using Weather.com . Trust me, Weather.com isn’t just a pretty interface; it’s a powerhouse of meteorological data, designed to give you precise, real-time hurricane updates in a way that’s easy to understand. First things first, head over to Weather.com on your desktop or, even better, download their mobile app. The app is a game-changer for on-the-go tracking because let’s face it, during a storm, you might not always have access to a computer. Once you’re on the site or in the app, look for the “Hurricanes” or “Tropical” section . It’s usually prominently featured during hurricane season, often accessible directly from the homepage banner or through a main navigation menu item. This is your portal to the Weather.com hurricane tracker .

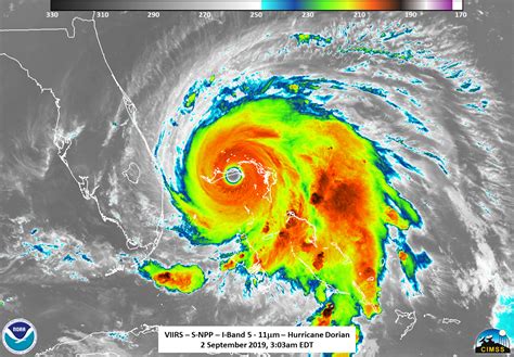
Once you’re in the hurricane section, you’ll likely be greeted by an interactive map – this is your best friend! This isn’t just any map; it’s packed with layers of crucial information. You’ll see current active storms, often depicted with their forecast cones or projected paths. Spend some time getting familiar with this map. You can zoom in and out, pan across different regions, and typically, you’ll find options to overlay various data points. Look for controls that let you toggle on and off layers like current radar , satellite imagery , wind speeds , pressure readings , and even storm surge potential . Understanding these layers is key to truly grasping the storm’s current state and its potential impact . For example, the radar can show you where heavy rain bands are currently affecting, while the wind speed layer can highlight areas experiencing hurricane-force winds. Weather.com presents this complex data in a remarkably intuitive way, so don’t be intimidated.

Next up, let’s talk about the forecast cone , also known as the “cone of uncertainty.” You’ll see this prominently displayed for any active tropical storm or hurricane . This cone illustrates the probable track of the storm’s center. Now, here’s a crucial tip, guys: the storm’s center can go anywhere within that cone , and impacts can extend far outside of it . Don’t get fixated on the exact center line; understand that the entire shaded area represents the most likely path. Weather.com will often provide detailed textual forecasts alongside these maps, explaining the reasoning behind the cone and highlighting specific threats for regions within and near it. Beyond the map, make sure to check out the local forecasts and advisories for your specific location. You can usually input your ZIP code or city to get hyper-localized information, including expected wind gusts, rainfall totals, and any active hurricane watches or warnings . This personalized data, delivered directly from Weather.com’s robust system , is what helps you fine-tune your preparedness plans . Don’t forget to explore options for setting up personalized hurricane alerts through the app or website, ensuring you get push notifications for significant changes or warnings relevant to your area. This comprehensive approach to tracking hurricanes live on Weather.com is your ultimate tool for staying informed and ahead of the storm.

Decoding the Interactive Map Features

Alright, let’s dive even deeper into the awesome interactive maps on Weather.com , because these aren’t just pretty pictures, folks – they are literally life-saving tools for live hurricane tracking . When you’re looking at the map for an active hurricane, you’ll typically see a bunch of buttons or a menu that allows you to add or remove “layers.” These layers are super important because they let you customize the data you’re seeing. For instance, you might want to turn on the “Precipitation” layer to see where the heaviest rain is falling or projected to fall. This is crucial for understanding potential flooding risks , which, let’s be honest, can be just as dangerous as the winds themselves, especially for inland communities. Then there’s the “Wind Gusts” layer , which gives you a visual representation of how strong the winds are expected to be at different points in the storm’s progression. This helps you gauge the risk of structural damage to homes or power outages due to downed lines.

Another incredibly valuable layer to explore is “Storm Surge” prediction . For those of us living near the coast, storm surge is often the deadliest aspect of a hurricane, yet it’s often misunderstood. Weather.com’s maps can show you areas at risk and even estimated inundation levels, giving you a clear picture of what parts of the coastline are most vulnerable. You can usually zoom in and out on these maps with ease, letting you pinpoint specific neighborhoods or even individual streets. Pay attention to the color codes on these layers; they’re not just for show! Brighter colors usually indicate higher intensity – whether it’s heavier rain, stronger winds, or greater storm surge. Learning to quickly interpret these visual cues makes your live hurricane tracking far more efficient and effective. Don’t be shy about playing around with these features; the more comfortable you are with them before a storm threatens, the better equipped you’ll be to make quick, informed decisions when it matters most. These Weather.com interactive maps truly put the power of a meteorologist’s toolkit right into your hands, helping you stay ahead of Mother Nature’s fury .

Setting Up Personalized Hurricane Alerts

Now, let’s talk about another super important feature on Weather.com that takes your hurricane preparedness to the next level: personalized hurricane alerts . Look, you can’t be staring at the interactive map 24 7 (though some of us might be tempted!). That’s why setting up reliable alerts is a game-changer for staying informed during hurricane season . Weather.com makes this incredibly easy, especially through their mobile app. You’ll want to enable push notifications for your specific location. This means if a hurricane watch is issued, a tropical storm warning is activated, or there’s a significant shift in the storm’s trajectory that impacts your area, your phone will buzz with an immediate update. This eliminates the need for constant manual checking and ensures you get critical information the moment it’s available.

Beyond push notifications, Weather.com often offers options for email alerts as well. This can be a great backup, especially if you’re worried about phone battery life or spotty cell service during a storm. You can usually customize the types of alerts you want to receive – perhaps you only want warnings, or maybe you want watches too. The key is to make sure your home address or the location you’re concerned about (maybe a vacation home or a family member’s address) is properly set up in your Weather.com profile or app settings. This ensures the alerts are hyper-local and directly relevant to you. Getting these timely hurricane alerts is absolutely critical. A sudden change in a hurricane’s track or intensity could mean the difference between having enough time to evacuate safely or being stuck. Weather.com’s alert system acts like your personal meteorological watchdog, keeping an eye on the skies so you can focus on other aspects of your emergency preparedness plan , giving you that crucial heads-up when you need it most. So, don’t skip this step – set up those alerts, guys!

Understanding Hurricane Terminology and Forecasts with Weather.com

Alright, guys, let’s get real about hurricane terminology . When you’re tracking hurricanes live on Weather.com , you’ll inevitably encounter a lot of specific terms and forecast models that can feel a bit like a foreign language if you’re not familiar with them. But don’t sweat it! Weather.com does a fantastic job of simplifying complex meteorological data, and understanding these key terms is crucial for truly interpreting the forecasts and making informed decisions about your safety. First up, let’s demystify the Saffir-Simpson Hurricane Wind Scale . You’ll hear about Category 1, 2, 3, 4, or 5 hurricanes . This scale categorizes hurricanes based purely on their sustained wind speeds , giving you a quick snapshot of their potential intensity and the expected damage from winds. A Category 1 hurricane (74-95 mph) is no joke, but a Category 5 (157+ mph) is catastrophic, capable of leveling homes. Weather.com’s hurricane tracker will always clearly display the current category of an active storm, often with a helpful guide to what each category means in terms of wind impact. This visual aid is invaluable for quickly assessing the threat level .

Next, we absolutely need to talk about storm surge . This is often the deadliest aspect of a hurricane, yet it’s sometimes overshadowed by wind concerns. Storm surge is an abnormal rise of water generated by the storm, over and above the predicted astronomical tide. It’s caused by high winds pushing water ashore and the low pressure of the hurricane pulling water upwards. Weather.com will frequently include storm surge predictions on its maps and in its textual forecasts, detailing expected inundation levels for coastal areas. Understanding this is vital for coastal residents, as even a Category 1 hurricane can produce a devastating storm surge if conditions are right. Beyond the big “hurricane” label, you’ll also see terms like tropical depression (an organized system of clouds and thunderstorms with a defined surface circulation and maximum sustained winds of 38 mph or less) and tropical storm (a tropical cyclone with maximum sustained winds ranging from 39 to 73 mph). These are the birth stages of what can become a hurricane, and Weather.com will track them diligently, giving you early warnings about potential development .

And then there’s the ever-important distinction between a hurricane watch and a hurricane warning . A hurricane watch means hurricane conditions (sustained winds of 74 mph or higher) are possible in the specified area, typically within 48 hours. This is your cue to finalize your preparedness plans . A hurricane warning , on the other hand, means hurricane conditions are expected in the specified area, usually within 36 hours. This is when you need to act immediately to protect life and property, including evacuating if advised by local authorities. Weather.com will highlight these watches and warnings prominently for affected areas. Finally, let’s touch on the cone of uncertainty (which we briefly mentioned earlier) and forecast models . The cone exists because forecasting hurricane paths is incredibly complex. Meteorologists use various global forecast models (computer simulations) that run different scenarios. The cone represents the probable track of the storm’s center based on these various models, acknowledging that there’s always an element of uncertainty. Weather.com takes all this sophisticated data and distills it into actionable, easy-to-understand graphics and explanations, ensuring that even if you’re not a meteorologist, you can grasp the nuances of hurricane forecasts and make smart decisions. So, keep an eye on these terms when you’re using Weather.com for your live hurricane tracking – they’re your key to being truly prepared.

Beyond Tracking: Preparedness and Safety Tips from Weather.com’s Insights

Okay, so we’ve become pros at live hurricane tracking with Weather.com , but guys, knowing a storm is coming is only half the battle. The other, equally critical half is actionable preparedness and safety . Weather.com isn’t just a tracking tool; it’s also a fantastic resource for hurricane safety tips and general emergency preparedness . Think of it as your digital companion for getting ready before, during, and after a storm. Your number one priority should always be building a robust emergency kit . Weather.com often features articles and guides detailing what should go into one: we’re talking about at least three days’ worth of water (one gallon per person per day), non-perishable food, a first-aid kit, essential medications, a hand-crank or battery-powered radio, flashlights, extra batteries, and cash. Don’t forget important documents, copies of insurance policies, and fully charged power banks for your phones! Every single item in that kit plays a vital role when power is out and supplies are limited.

Next up, a well-thought-out evacuation plan is absolutely non-negotiable, especially for those in coastal or flood-prone areas. Weather.com will provide updates on evacuation orders issued by local authorities. Your plan should include designated evacuation routes , knowing where you’ll go (a friend’s house out of the storm’s path, a designated shelter), and how you’ll communicate with family members if separated. It’s smart to have multiple ways to contact each other, perhaps even an out-of-state contact person who everyone can check in with. Don’t wait until the last minute to fill up your car’s gas tank! Securing your home is another crucial step: bring in all outdoor furniture, trash cans, toys, and anything else that could become a projectile in high winds. If you have time and resources, board up windows and secure doors. Weather.com’s local forecasts will give you a clear timeline of when these preparations need to be completed.

During a hurricane , your primary goal is to stay safe and informed . Continue to rely on Weather.com for the latest updates – remember those personalized alerts we talked about? If you’re sheltering in place, stay indoors, away from windows, and move to an interior room if possible. If you’ve evacuated, stay put until authorities give the all-clear. And after the hurricane , safety remains paramount. Don’t return home until officials say it’s safe. Watch out for downed power lines, standing water, and damaged structures. Weather.com will continue to provide post-storm information, including recovery resources and updated local conditions. By combining your excellent live hurricane tracking skills with these essential preparedness and safety tips found on Weather.com’s extensive resources , you’re not just watching the weather; you’re actively safeguarding your life and property. That’s what being truly prepared is all about, my friends.

The Power of Community and Staying Connected During a Storm

Alright, my friends, while live hurricane tracking on Weather.com equips you with crucial individual knowledge, let’s not forget the immense power of community and staying connected when a storm hits. Hurricanes don’t just affect individuals; they impact entire neighborhoods and towns, and a strong sense of community can make all the difference in recovery and mutual aid. While Weather.com is your go-to for reliable information sources about the storm itself, local community groups, social media pages (use with caution, cross-referencing with official sources!), and local emergency services are vital for immediate, hyper-local updates and support. Think about checking on your neighbors, especially the elderly or those who might need extra assistance, before the storm arrives . A quick knock on the door or a phone call to make sure they have their emergency kit ready or know their evacuation zone can foster incredible community support and potentially save lives.

During the storm, if you have power and internet access (and are safe to do so), responsibly sharing critical information gleaned from Weather.com’s updates with neighbors who might not have access can be a huge help. This isn’t about spreading rumors, but rather sharing confirmed warnings, advisories, or post-storm safety instructions from official sources. After the storm passes, the community aspect becomes even more pronounced. Power outages are common, communication lines can be down, and resources might be stretched thin. This is when neighborhood watch groups, local volunteers, and mutual aid networks truly shine. Knowing who to call for help, offering a helping hand to clear debris, or simply providing emotional support to those affected can significantly speed up the recovery process. Weather.com will continue to provide updates on utility restoration, road closures, and official recovery efforts, which can then be shared within your local circles.

Furthermore, remember that communication during disaster is multi-faceted. While Weather.com’s mobile app is great, have a battery-powered or hand-crank radio for listening to local news and NOAA Weather Radio. These are crucial for when cell towers are down. Share your evacuation plans with family members and designate an out-of-state contact who everyone can check in with, as local phone lines might be overwhelmed. The resilience of a community often hinges on its ability to communicate and cooperate. By using Weather.com’s comprehensive tracking and combining it with strong community ties , we empower ourselves and those around us to face the challenges of hurricane season with confidence and solidarity. This holistic approach ensures that while you’re individually prepared, you’re also part of a stronger, more resilient collective.

Conclusion

So there you have it, guys! We’ve journeyed through the ins and outs of tracking hurricanes live on Weather.com , transforming you from a casual observer into an informed, proactive participant in your own safety and hurricane preparedness . We’ve highlighted why live hurricane tracking is absolutely essential , giving you the power to make timely decisions that protect your loved ones and property. You now know how to navigate Weather.com’s fantastic features , from understanding those intricate interactive maps and forecast cones to setting up personalized hurricane alerts that keep you in the loop 24 7 . We even demystified all that tricky hurricane terminology , ensuring you’re fluent in the language of storm forecasts.

Remember, this isn’t just about watching a dot move on a screen; it’s about empowerment. It’s about taking control, using Weather.com’s reliable insights to build a solid emergency kit , craft a smart evacuation plan , and secure your home. And let’s not forget the invaluable role of community support and staying connected – because we’re all in this together. By consistently utilizing Weather.com’s comprehensive resources for live hurricane tracking and heeding its expert advice, you’re not just preparing for a storm; you’re building resilience and confidence. So, stay safe out there, stay informed, and trust in the power of good information to guide you through hurricane season. You’ve got this!